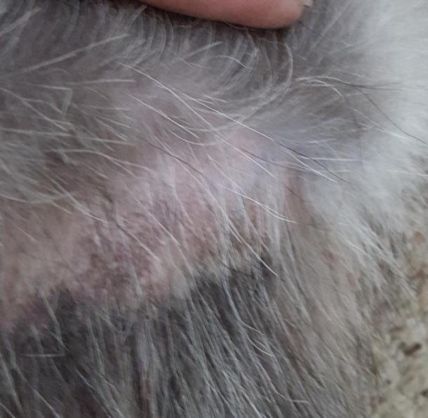
Yonjuro Posted May 20, 2015 Share Posted May 20, 2015 (edited) Hi all, Firstly this is not my boy, but someone on a husky forum that is having problems and was wondering what the brains-trust here thought. It seems he has done all the right things with vets and second and third opinions. Its kinda got me stumped the only thing I can clutch at is maybe he has developed an intolerance to a particular food as Zinc Responsive Dermatosis would have been my first guess, but he has been tested for this? See his post below. "I was wondering if anyone out there was having skin issues with there husky and did they find anything that works? My husky's name is Dakota and he is 11 yrs old and going strong. The only problem I have is he has developed a skin irritation this past year. I have had him to three different vets and nothing has really worked after the antibiotics are gone he starts at the spots he has worn off. It started under his skin at first and notice you could pull his fur off down to the skin. The vets shaved him quite a few places and put him on antibiotics and some fungal pills but after they whore off back to the same old thing. One vet gave him a shot and some fungal shampoo/ medicated and I have bathed him twice in it and it works for about three days. Does any one else come across this problem? He has had the following tests, thyroid, zinc, ring worm all negative. Hope some one else has run into this. " Edited May 20, 2015 by Yonjuro Link to comment Share on other sites More sharing options...
sas Posted May 20, 2015 Share Posted May 20, 2015 You would do best getting a referral to a Dermatologist then you're not wasting time or money. Link to comment Share on other sites More sharing options...
Recommended Posts
Create an account or sign in to comment
You need to be a member in order to leave a comment
Create an account
Sign up for a new account in our community. It's easy!
Register a new accountSign in
Already have an account? Sign in here.
Sign In Now