persephone Posted June 22, 2014 Share Posted June 22, 2014 :) this is so nice to see, after the horrible experiences last year . Go, Cooper :) Link to comment Share on other sites More sharing options...
VizslaMomma Posted June 25, 2014 Share Posted June 25, 2014 Checking in on your champion!!!!! Hope he is improving by the day and not suffering too much with the winter cold weather. (((HUGS)))) Link to comment Share on other sites More sharing options...
bianca.a Posted June 25, 2014 Author Share Posted June 25, 2014 Thank you both so much! I'm sure having all these positive thoughts are helping him! 5 weeks already today! so xrays booked in (with local vet) for next Wed and then we can start building muscle mass by slowly increasing walking time!!!!! Link to comment Share on other sites More sharing options...
VizslaMomma Posted June 25, 2014 Share Posted June 25, 2014 Ongoing paws crossed for great leaps and bound improvement..... But for Cooper to just to gentle walks to aid his recovery. Nothing too over the top for him. Link to comment Share on other sites More sharing options...
bianca.a Posted June 26, 2014 Author Share Posted June 26, 2014 Thank you so much Vizsla ((hugs)) Link to comment Share on other sites More sharing options...
VizslaMomma Posted July 8, 2014 Share Posted July 8, 2014 How are you both going today? Hope the sweet patient is fine. Been checking the weather down your way. Bit cold, to say the least. Link to comment Share on other sites More sharing options...
*Avanti* Posted July 8, 2014 Share Posted July 8, 2014 I've only just caught up on Cooper's story. I'm so impressed with your dedication bianca.a and what a gorgeous boy he is. He'll be a happy chappy now once he's fully healed. Sending some gentle pats. :) Link to comment Share on other sites More sharing options...
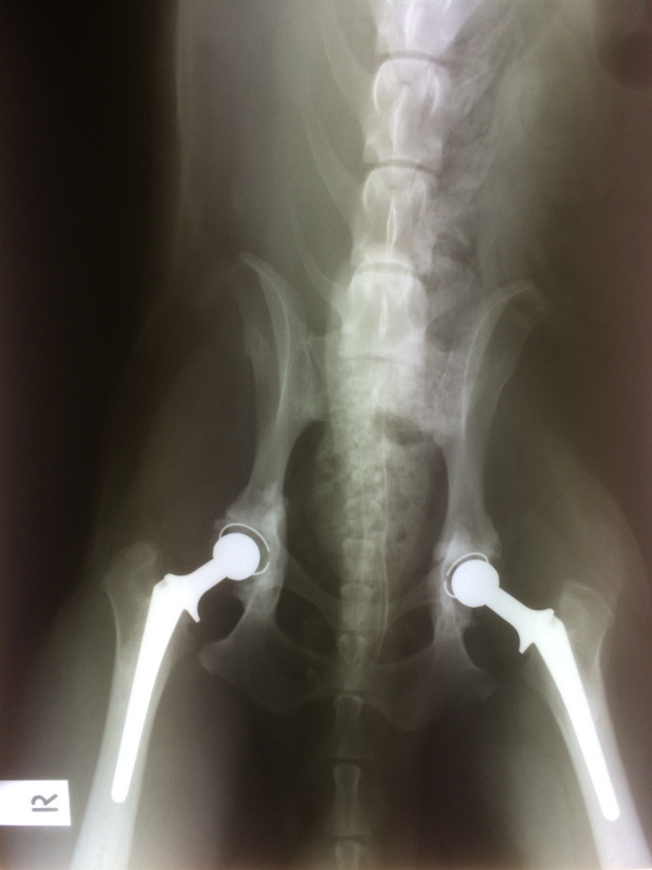
bianca.a Posted July 8, 2014 Author Share Posted July 8, 2014 Oh thank you both so much ((hugs)) Yes it has been way to cold for this chicken :laugh: Specialist reviewed his 6 week xrays (done by a local vet) and yesterday I got the all clear to start walking him 2 half an hour walks per day for one month, then 2 one hour walks per day!!!!!! Link to comment Share on other sites More sharing options...
bianca.a Posted July 8, 2014 Author Share Posted July 8, 2014 These were done by a locum vet locally and aren't digital. Link to comment Share on other sites More sharing options...
persephone Posted July 8, 2014 Share Posted July 8, 2014 YAY :) what beautiful Xrays to see Link to comment Share on other sites More sharing options...
harley Posted July 8, 2014 Share Posted July 8, 2014 He is so handsome, I'm glad he can start walking with you Link to comment Share on other sites More sharing options...
BC Crazy Posted July 8, 2014 Share Posted July 8, 2014 Yaaaaa !!!!!! What wonderful news Biannca. Coopers got the all clear...He can finally go for short walks & slowly regain his strength. You have done a fantastic job taking care of him. It must of been very difficult for you to witness your boy suffering. Coop has the best looking hips in town now LOL Go enjoy your lovely boy :) Link to comment Share on other sites More sharing options...
VizslaMomma Posted July 8, 2014 Share Posted July 8, 2014 Oh thank you both so much ((hugs)) Yes it has been way to cold for this chicken :laugh: Specialist reviewed his 6 week xrays (done by a local vet) and yesterday I got the all clear to start walking him 2 half an hour walks per day for one month, then 2 one hour walks per day!!!!!! Go COOPER Go!!!! I am so happy to get this update, bianca.a What a wonderful furMomma you are. May the walks ahead be longer, better and easier for Cooper to manage. Link to comment Share on other sites More sharing options...
bianca.a Posted July 9, 2014 Author Share Posted July 9, 2014 Thank you all so very much :) Link to comment Share on other sites More sharing options...
VizslaMomma Posted July 24, 2014 Share Posted July 24, 2014 Checking in for an update on the STAR I think of Cooper very often, bianca.a Hoping for ongoing progress AND warmer weather really soon. Link to comment Share on other sites More sharing options...
bianca.a Posted July 24, 2014 Author Share Posted July 24, 2014 Oh you are so lovely, thank you ((hugs)) he is doing so well! Up to 2 x half an hour walks per day and my gosh he is strong! Will get some new pics tomorrow. Thank you once again :) Link to comment Share on other sites More sharing options...
BC Crazy Posted July 24, 2014 Share Posted July 24, 2014 Lovely update Bianca.a. great news Cooper is doing well. Strong is excellent !!!!! Looking forward to the pic's :) Link to comment Share on other sites More sharing options...
OSoSwift Posted July 24, 2014 Share Posted July 24, 2014 I have only just caught up on this - not sure how I missed it. Great to hear his second surgery is done and dusted. It won't be long until he can run and jump pain free how exciting :) Link to comment Share on other sites More sharing options...
Tassie Posted July 25, 2014 Share Posted July 25, 2014 Lovely update Bianca.a. great news Cooper is doing well. Strong is excellent !!!!! Looking forward to the pic's :) +1 Paws crossed for continued great recovery. Link to comment Share on other sites More sharing options...
bianca.a Posted August 12, 2014 Author Share Posted August 12, 2014 (edited) I am so sorry I didn't even see your replies but thank you so much! I just went and re-read the first thread and you have all been so helpful and caring. Thank you :) I just thought I would update quickly to say my black doofus is doing SO well! A pic from today...not a care in the world! Edited August 12, 2014 by bianca.a Link to comment Share on other sites More sharing options...
Recommended Posts
Create an account or sign in to comment
You need to be a member in order to leave a comment
Create an account
Sign up for a new account in our community. It's easy!
Register a new accountSign in
Already have an account? Sign in here.
Sign In Now